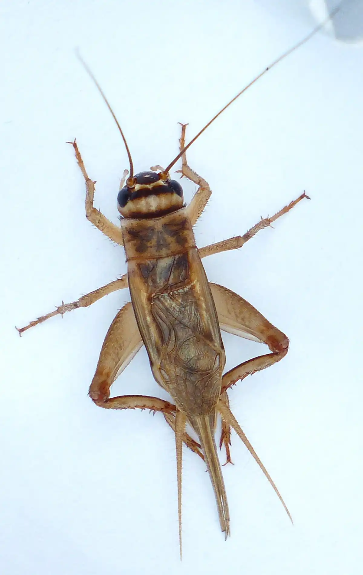
House Crickets in Georgia
The house cricket was introduced into Canada and the United States in the 18th century and attracted the attention of early writers by its serenades and whimsical habit of chewing on clothes. House crickets are nocturnal and omnivorous, feeding readily on various foods, and are particularly attracted to liquids, especially fermented beverages such as beer or sweetened vinegar. House crickets are drawn to warm moist environments, seeking food and shelter within homes and structures as temperatures cool down in the fall.
Upload a Pest Photo
Get instant pest identification.
House Cricket Habitat
During warm weather, the house cricket lives outdoors in piles of debris, rocks, firewood, and lumber. They may also be seen in compost bins and garbage dumps during the winter, as well as in houses, sheds, and other shelters. With the coming of cold weather, the house cricket enters homes and is active in warm areas of the house. House crickets are nocturnal and usually first make themselves evident at dusk when they begin to seek food in homes. Homeowners may also be alerted to their presence by the familiar chirping sounds made by males. When attracting females, males rub their front wings together causing a chirping sound.
House Cricket Behaviors, Threats, or Dangers
House crickets do not bite or spread disease, however, they can become a nuisance if they gain entry into a home, damaging clothing, carpets, and areas covered in fabric. Because these crickets are attracted to warmth, they are often present in the vicinity of the fireplace, kitchen, furnace, water heater, and basement. They conceal themselves in cracks, behind baseboards, and may burrow into the mortar of walls. The house cricket is especially destructive to silk and woolens. If you have a house cricket infestation on your property, contact your local exterminators.
Need help with pest control?
Fill out the form below and we’ll be in touch!
*During normal business hours. After hours inquiries will be returned the next business day.



